2020年是脱贫攻坚和全面建成小康社会的收官交验之年,为深入贯彻落实习近平总书记对科技特派员制度作出的重要指示精神,牢牢把握“坚持人才下沉、科技下乡、服务三农”的总要求,yl6809永利检测中心积极响应广东省科技厅关于“攻坚克难,全面胜利”2020年农村科技特派员“暑期大下乡”活动的倡议。暑期以来,学校获批立项的20支农村科技特派员团队陆续出动,智力扶贫、创业扶贫、协同扶贫多管齐下,锐意进取,助力脱贫攻坚。
智力扶贫固根基
教育是扶贫开发的根本之计,是拔穷根、破穷境的根本之举。“暑期大下乡”活动期间,学校根据各对接村的实际情况,开展培训、讲座与现场交流会48场次,累计接受培训村民228人次,发放技术资料107份。
王春、李环、魏文红老师一行前往韶关市乐昌市黄圃镇斗湾村、石溪村、紫溪村开展精准智力扶贫工作,将满载莞工师生员工爱心的千余册图书搬运至莞工书香驿站,打造智力扶贫“加油站”,给对接帮扶户的儿童们赠送助学包,给予贫困学子在物质和精神方面的爱心帮助。同时与目标村达成在农村科技政策推广、电子商务、网络营销培训等方面的帮扶内容,后续将发挥我校专业优势,制定相关培训方案,帮扶当地农民脱贫致富。

特派员团队与石溪村村委进行沟通交流
创业扶贫促经济
创业是一项“造血”功能强大的扶贫方式。学校特派员团队通过暑期摸底,了解所对接的各村村情村貌、区位交通、区划人口、自然资源、种养植农产品和经济发展情况,因地制宜开展扶贫工作。
钟耀广、黄润樑、陈传营老师一行现场走访调研清远市英德市下太镇沙岗村、高洞村和上呔村,三个贫困村的村民均有养植“清远麻鸡”的传统,并初具规模,增加销量是提高村民养植“清远麻鸡”积极性的重要手段。因此,该团队开始着手协助农村合作社的村民积极开展网上销售,拓展农产品推广渠道。其中,培训村民代表进行淘宝开店。团队专家从淘宝店铺的开通、店铺装修、商品文案介绍、图片美工、店铺管理等进行了一系列的线上线下培训。目前已成功开通一家淘宝店,并投入运营。

淘宝店商品详情截图

特派员团队与高洞村村委会进行沟通交流
协同扶贫谋发展
多元协同是整合资源,落实精准扶贫,放大扶贫效益的有效方式。学校特派员团队充分发挥科技与服务资源优势,切实解决农村产业中产生的问题。
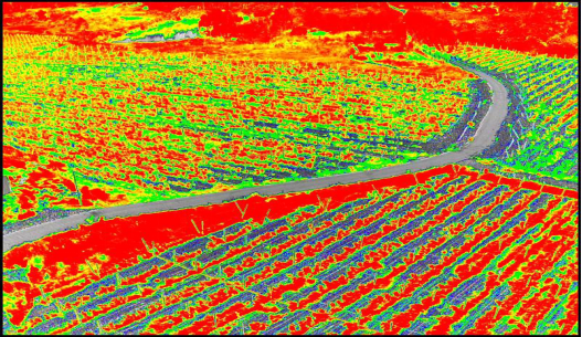
郭建文、陈礼明、肖毅老师一行在服务好清远市3个贫困村的基础上,积极联络全国乡村治理示范村清远市阳山县大崀镇松林村进行实地调研学习,走访了佛冈县水头镇石潭村的无花果种植基地,并利用多光谱无人机获取了无花果多光谱图,初步达成了支持石潭村开展无花果全产业链建设的合作意向。

佛冈县水头镇石潭村的无花果种植基地

无花果种植基地无花果养分的多光谱图
花开慧、周钢和臧云浩老师一行围绕河源市龙川县佗城镇东坑村蜂蜜水量大、不宜存放、易坏、易酸涩以及滞销等问题,采取改善采蜜方案、蒸发水分等措施降低蜂蜜水分,同时联系蜂蜜品牌设计商,沟通产业链对接等方案,拓展蜂蜜渠道。
该团队对接的河源市龙川县贝岭镇石马村,多以种植黄豆、水稻、脐橙等产品为主,但因为长期施药、施肥,土壤板结,大豆产量连年减产,果场脐橙易得黄龙病,2年时间,5个小组的果园血本无归,不得已将原病株砍伐,种植新脐橙树苗。针对该问题,团队老师已对接中国科学院江华博士工作站(该博后工作站已采取土壤修复改良实现脐橙的“以菌治病”),尝试解决该问题。

特派员团队与贝岭镇石马村村委进行沟通交流
据统计,本次“暑期大下乡”工作中,学校共下乡专家70人次,通过实地走访了解乡村建设与产业发展情况,做到需求对接具体化,通过智力扶贫、创业扶贫、协同扶贫等多种方式,推动乡村振兴战略实施。

面对脱贫攻坚决胜收官和新冠疫情防控的双重考验,作为首次获得省“农村科技特派员”项目且2020年度立项数位列全省高校第1的单位,学校将按照要求认真组织实施,做好农村科技特派员资金使用、日常监管、验收结题等后续管理工作,确保农村科技特派员真正下乡进村,让科技暖村、用产业强村,推动农村科技特派员成为广东脱贫奔康战场的“冲锋军”。